ACTUALITES METEO FRANCE LA RÉUNION
METEO FRANCE LA RÉUNION - Retrouvez dans cette rubrique toutes nos communications météorologiques et climatiques, nos communiqués, nos actualités cycloniques, ...
Météo-France
Episode de Fortes Pluies du 1er au 3 avril 2022 sur la Réunion
04/04/2022On vient de vivre un épisode pluvieux digne d’un véritable cœur de saison des pluies avec des cumuls de l’ordre de ceux observés pour un épisode cyclonique. En l’espace de trois jours, le mois d’avril est d’ores et déjà excédentaire.

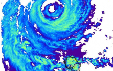
Le cyclone intense EMNATI
20/04/2022Dix-sept jours seulement après le cyclone tropical Batsirai, le cyclone Emnati a menacé La Réunion, générant un épisode de temps très perturbé durable, avec vents forts et pluies s’étendant sur une période de plus de 4 jours, du 19 au 23 février.
Météo-france, DIROI
Le cyclone intense BATSIRAI
14/02/2022
Le cyclone tropical Batsirai a frappé la côte orientale de Madagascar en soirée du 5 février 2022, son centre pénétrant sur terre un peu au nord de la ville de Mananjary, qui a été durement éprouvée par cet impact cyclonique, le plus violent dans ce secteur de la Grande Île depuis plus de 25 ans (les derniers événements d’ampleur comparable remontant au cyclone Edwige en février 1996, et surtout au cyclone Alibera, le 1er janvier 1990).
Préalablement à cet atterrissage sur Madagascar, le cyclone avait sévèrement affecté les conditions météorologiques à La Réunion, du 2 au 5 février. Mais cela aurait pu être bien pire, car l’île a par chance bénéficié d’une trajectoire favorable, lui valant d’être épargnée par le cœur du phénomène, où étaient concentrées les conditions les plus extrêmes associées au météore.
Le centre du cyclone a, en effet, eu le bon goût de ne pas se rapprocher à moins de 190 km des côtes du département. Mais il est demeuré à moins de 220 km (au nord) quelque 26h durant, se mouvant lentement l’essentiel de la journée du 3 février, tout en longeant l’arc des 200 km de distance. Ce déplacement ralenti, a eu pour conséquence de maintenir plus longuement le département sous l’emprise du météore, générant ainsi un épisode venteux et pluvieux durable sur l’île. Si les vents sont généralement restés dans des limites raisonnables (sauf localement dans les Hauts), du fait de l’éloignement suffisant du cœur dangereux du cyclone, l’influence pluvieuse a été exceptionnelle dans l’intérieur de l’île, plus particulièrement sur les hauteurs du volcan et dans les cirques, avec, une fois n’est pas coutume, le cirque ordinairement le plus sec, Mafate, qui a été le plus copieusement arrosé.